17
$2,030,000 Sale
Listed 3 days ago
571 Hickory Beach Road
· 3
· 3
· 2
· < 700
Listing History
Buy/Sell/Terminated/Expired listing history for 571 Hickory Beach Road
Key Facts
Key facts for 571 Hickory Beach Road
Property Type
House, 2-Storey
Parking
Detached 2 garage, 10 parking
MLS #
X12482663
Size
< 700 sqft
Basement
Full,Partially Finished
Listed on
2025-10-25
Lot size
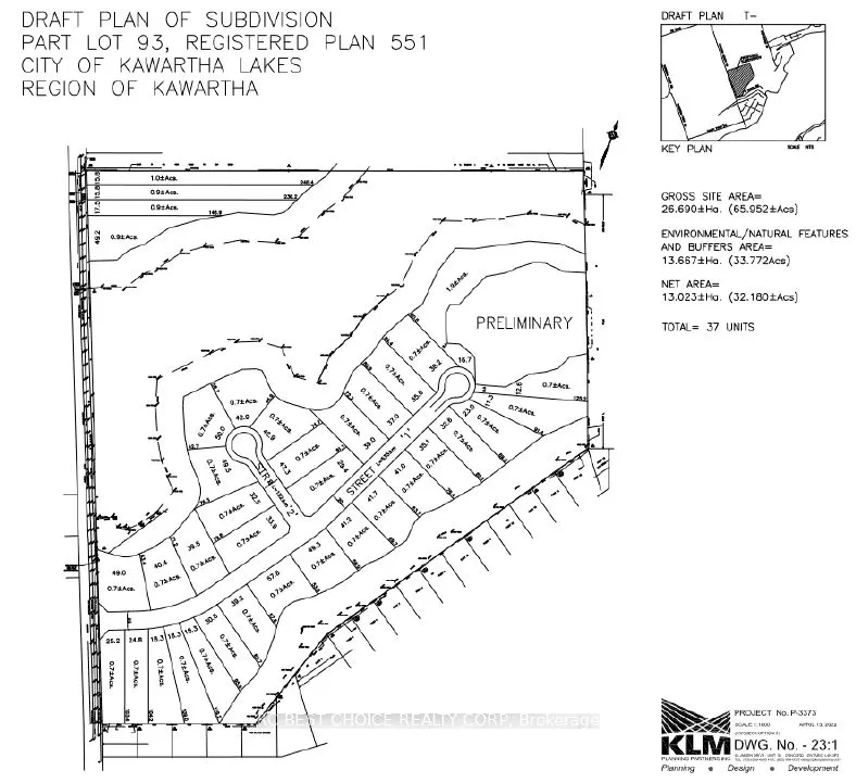
2002 x 1780.6
Tax
$6,448.92 /yr
Days on Market
5
Approximate Age
-
Maintenance Fee
-
Description
This Spectacular Country Property Has It All!! A Magnificent 2002.3 x 1780.6 Feet (65.59AC) Country Relaxing Around, the proposed zoning allows for various land uses including single detached dwellings, It comprises 37 lots, each with a minimum size of 0.7 acres, intended for single detached dwellin...gs. Distance To Lake And, Great Land Investment Opportunity. Development: +/- 13.02 ha. (32.18 ac.). Development Potential. Next To A Development Area With Unlimited Potential. VTB available for qualified buyers. Ask for the details. **EXTRAS** Vegetable Garden, Hilltop Gazebo Overlooking The Property. Pride Of Ownership Throughout!! This Is A Must See Property.
Similar Properties (No results)
Room Types
Bathroom
2 Pc Bath
Dimensions - feet
0 sqft
Bathroom
2 Pc Ensuite
Dimensions - feet
0 sqft
Bathroom
4 Pc Bath
Dimensions - feet
0 sqft
Courtesy of: RC BEST CHOICE REALTY CORP